17/05/26
Breaking News

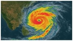
मोंथा चक्रवात को लेकर झारखंड सरकार अलर्ट, मंत्री ने सभी जिलों को दिए सतर्कता के निर्देश

रांची। बंगाल की खाड़ी में विकसित हो रहे मोंथा चक्रवात को लेकर झारखंड सरकार अलर्ट मोड में आ गई है। राज्य के आपदा प्रबंधन मंत्री डॉ. इरफान अंसारी ने मंगलवार को सभी जिलों के उपायुक्तों को आवश्यक तैयारी करने और सतर्क रहने के निर्देश जारी किए हैं। मंत्री ने बताया कि भारतीय मौसम विभाग (IMD) के पूर्वानुमान के अनुसार यह चक्रवात आने वाले दिनों में गंभीर ट्रॉपिकल तूफान का रूप ले सकता है। इसके असर से झारखंड के दक्षिणी और मध्य हिस्सों में तेज हवाएं, भारी वर्षा और कुछ इलाकों में बाढ़ जैसी स्थिति उत्पन्न हो सकती है। उन्होंने कहा कि राज्य सरकार हालात पर लगातार नजर बनाए हुए है, और किसी भी आपात स्थिति से निपटने के लिए सभी जिलों को तैयार रहने के निर्देश दिए गए हैं। डॉ. अंसारी ने सभी उपायुक्तों को जिला आपदा प्रबंधन प्राधिकरण की आपात बैठक आयोजित कर निम्नलिखित कदम उठाने को कहा है— सभी संबंधित विभागों को अलर्ट मोड में रखा जाए। एनडीआरएफ और एसडीआरएफ की टीमें संभावित प्रभावित क्षेत्रों में तैनात रहें। निचले इलाकों की पहचान कर वहां रहने वाले लोगों को सुरक्षित स्थानों पर पहुंचाया जाए। बिजली, संचार और स्वास्थ्य सेवाओं को हर स्थिति में सक्रिय रखा जाए। मंत्री ने साथ ही जनसंपर्क विभाग को निर्देश दिया कि जन-जागरूकता अभियान चलाकर लोगों को सतर्क किया जाए और अफवाहों से बचने की अपील की जाए। उन्होंने कहा कि राज्य सरकार का प्राथमिक लक्ष्य जनहानि और संपत्ति की क्षति को रोकना है, और इसके लिए हर स्तर पर तैयारी सुनिश्चित की जा रही है।

Check Also

झारखंड हाई कोर्ट ने ग्रामीण विकास विभाग के सचिव को जवाब दाखिल करने का दिया अंतिम मौका

रांची। झारखंड उच्च न्यायालय ने ग्रामीण विकास विभाग द्वारा बनाए गए पुलों के टूटने से …